Huracán Iota pasa por la isla de Providencia
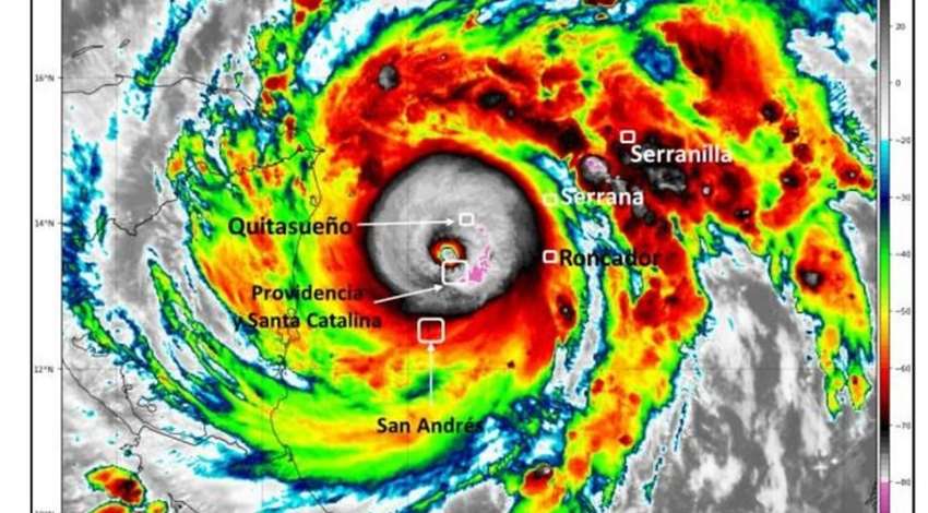
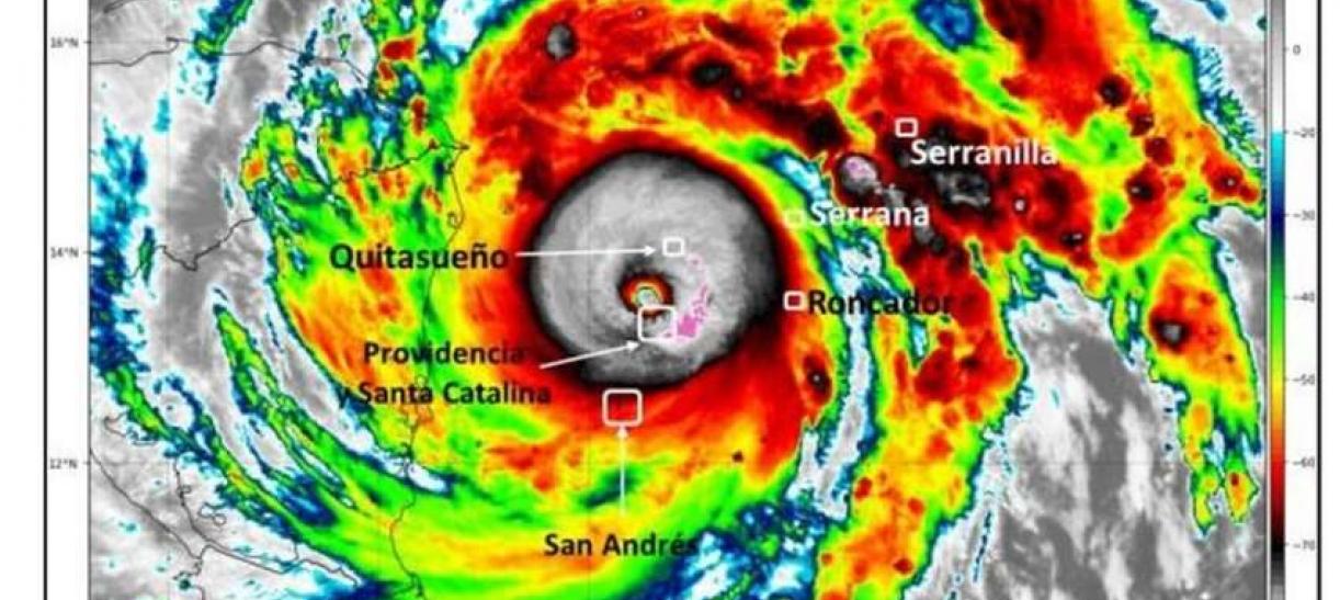
El huracán Iota incrementó su fuerza hasta categoría 5 y pasa por el punto más cercano al archipiélago de San Andrés y Providencia,
El huracán Iota alcanzó en la madrugada de este lunes la categoría 5 en la escala Saffir-Simpson, con vientos de más de 252 kilómetros por hora, y llegó a su punto más cercano al archipiélago de San Andrés y Providencia, en su paso hacia las costas centroamericanas.
De acuerdo con la Dirección General Marítima, el huracán Iota se encuentra actualmente a 68 kilómetros al este de las Islas Providencia y Santa Catalina y a 132 km al noreste de la Isla de San Andrés, y se desplaza a una velocidad de 17 kilómetros por hora, en dirección oeste, y continúa fortaleciéndose.
Te puede interesar: Alerta amarilla hospitalaria por lluvias en Cartagena
El gobernador de San Andrés, Everth Hawkins, expresó su preocupación por la situación en Providencia, isla con la que se perdió todo tipo de comunicación por telefonía móvil y satelital.
Familia, amigos de Providencia; no hay comunicación ni sateligal, ni VHF y menos por telefonía móvil!
— Everth Hawkins Sjogreen (@EVERTHHAWKINS) November 16, 2020
Mi agonía es grande por mi Familia y todos nuestros Providencianos!
Uncle, Aunt, cousins how unu de please!
"Familia, amigos de Providencia, no hay comunicación ni satelital, ni VHF y menos por telefonía móvil. Mi agonía es grande por mi familia y todos nuestros providencianos", manifestó en su cuenta de Twitter.
Imágenes compartidas en redes sociales muestran árboles caídos y vías bloqueadas en San Andrés, pero hasta el momento no hay un reporte oficial de daños por el paso del huracán Iota.
Radiosondeo lanzado el día de hoy en la isla de San Andrés, evidencia las condiciones adversas del estado del tiempo con lluvias y vientos fuertes que están azotando a la isla, esto debido al Huracán IOTA de categoría 4.@MinAmbienteCo @UNGRD pic.twitter.com/qjFIlEmxeI
— Ideam Colombia (@IDEAMColombia) November 16, 2020
De acuerdo con la información del IDEAM, se esperaban vientos huracanados con intensidades mayores a 178 kilómetros por hora y oleajes superiores a tres o cuatro metros de altura. En San Andrés, por su parte, se esperaba que los vientos estuvieran alrededor de los 117 kilómetros por hora.
REDACCIÓN COLPRENSA / CANAL INSTITUCIONAL